对于“山竹”带来的破坏力,大家仍然心有余悸,但是,风力超越山竹的另一个,年度风王“玉兔”又将要光顾华南地区!
据中央气象台最新消息,第26号台风“玉兔”(超强台风级),28日08时其中心在菲律宾马尼拉东偏北方向约1040公里的西北太平洋洋面上。
预计,台风“玉兔”将于30日白天穿过吕宋岛北部地区,30日夜间进入南海东部海面,而且极有可能再次重走台风“山竹”的路线,在本周末袭击广东,福建和台湾地区!
▲直指华南地区
从预测的数据看到,台风“玉兔”的风圈覆盖非常的大,影响到我国的华南广东,福建和台湾区域。
从最新的路径对比分析来看,玉兔”&“山竹”台风预报路径非常相似。
▲和超强台风“山竹”的路径非常相似
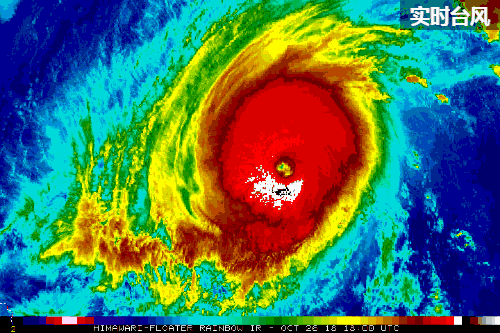
央视网消息: 25日,今年最强台风“玉兔”袭击了美属北马里亚纳群岛的塞班等地,目前已造成一人死亡、部分人员受伤,大量房屋受损,基础设施破坏严重。多国游客滞留在塞班岛,其中包括1500名左右中国游客。
▲“玉兔”摧毁力
据悉“玉兔”将以每小时15-20公里的速度向偏西方向移动,逐渐向菲律宾以东洋面靠近,于30日下午到夜间进入南海东部海域,逐渐转向偏北方向移动。
气象部门预测,受“玉兔”和冷空气共同影响,30日~31日,南海东北部和中东部海域风力将加大到8~9级、阵风10级,其中台风中心经过的附近海域阵风11~12级!
近期计划从香港,深圳、广州、香港,厦门及台湾地区出货的各位外贸货代企业要注意了:
为避免此次台风可能带来的强风暴雨造成的拥堵,以及由此造成的码头临时关停等不可控因素影响,请抓紧安排出货时间!
今年台风之多威力之大,多年罕见,每一次台风对堆场、码头、船只等都造成了非常严重的影响,而此前强台风“飞燕”和“山竹”造成的影响,想必大家还历历在目:
▲此前飞燕和山竹的恐怖级表现
注:本文内容转载自其它媒体,转载请尊重版权保留出处,一切法律责任自负。卡车之家登载此文出于传递更多信息之目的,并不意味着赞同其观点或证实其描述,也不代表本网对其真实性负责。您若对该稿件内容有任何疑问或质疑,请即与卡车之家联系,本网将迅速给您回应并做处理。























